HalkTV’de yayınlanan Kayda Geçsin programının dünkü bölümünde Cumhur İttifakı Ankara Büyükşehir Belediye Başkan Adayı Turgut Altınok’un kamuya açıkladığı mal beyanında yer alan arsalarla ilgili bilgi vermiş ve sorular sormuştum.
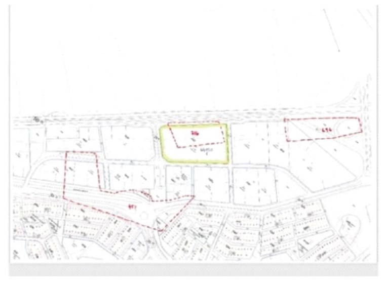
Tekrar hatırlatmak istiyorum. Altınok’un mal beyanında yer alan Etimesgut İlçesi, Erler Mahallesi 44050 Ada 1 Parsel İle İlgili edindiğim bilgiler şunlar;
Bu arazi öncesinde parçalı yapıda bir araziymiş.
Eski sahipleri şöyle:
Eski 451 parselden; 12 159 m2 (Bekir Akar:1831 metrekare, Ahmet Kuru: 5168 metrekare, A.İhsan Oğultürk 5160 metrekare)
Eski 696 parselden; 8495 metrekare (Sinan Aygün: 2500 metrekare, Rifat Hisarcıklı: 2500 metrekare, Salih Bezci: 3495 metrekare)
Eski 716 parselden; 7527 metrekare (Turgut Altınok: 3785 metrekare, Hacı Altınok: 3785 metrekare)
Yoldan ihdas; 534 metrekare (Yenimahalle Belediyesi)
Yani arsaların eski sahipleri bu kişiler.
Sonrasında eski 451 parselden 12 bin 159 metrekare, eski 696 parselden; 8 bin 495 m2,Turgut Altınok ve kardeşi Hacı Altınok’un hisselerinin olduğu 716 sayılı parselde toplanarak 28 bin 758 metrekare, 44050 Ada 1 parsel oluşmuş.


Bu parsellerdeki (451 ve 696 parseller) hissedarlardan satın alınan 10 bin 328 metrekare arsaların alıcıları ve aldıkları metrekareler ve ortakları şu şekilde oluşmuş.

- Satın alma işlemleri tamamlandıktan sonra Turgut Altınok, Hacı Altınok (Altınok Gayrimenkul), Sinan Aygün, Salih Bezci, Rıfat Hisarcıklıoğlu, Bekir Akar, Fatma İncik, oluşan son ortaklar olarak, sözkonusu arsayı kat karşılığı müteahite vermişlerdir. İnşaat tamamlandıktan sonra, Elmar Towers olarak iskan alınmış.
- İmar uygulamasında 451 parsel ve 696 parsel civarındaki yerlerde müsait alanlar var iken, tamamı 44050 ada 1 parsele taşınmış. Taşınan parsellerden 451 parselin hissedarları olan Ali İhsan Oğultürk ve Ahmet Kuru tüm hisselerini farklı miktarlarda yukarıdaki hissedarlara satmışlar.
Eskişehir Yolundan ikinci ve üçüncü parselde bulunan 451 parselin değeri ile taşındığı 44050 ada arasında ciddi bir değer farkı var.
- 451 parsel sahipleri, Ali İhsan Oğultürk ve Ahmet Kuru’nun Keçiören Kavacık Subayevlerinde kullanım amacı farklı olan 34352 ada 1 parsel taraflarınca satın alındıktan sonra, plan düzenlemesi yapılıp 21.07.2003 tarihinde ruhsat almışlardır. RUHSAT TARİHİNDE BÖLGEDE BENZER YÜKSEKLİKTE VE EMSALDE HİÇBİR BİNA BULUNMUYOR.
- Hacı Altınok, bu kişilerden 5026m2 hisseyi 04.07.2003 tarihinde satın almıştır, bu tarihten 17 gün sonra 21.07.2003 tarihinde, 34352 ada 1 parsel plan düzenlemesi yapılmış inşaat yapı ruhsatlarını almışlar.
Şimdi tekrar Altınok’un mal beyanını hatırlayalım ne demişti?

“Altınok Gayrimenkul adlı şirketin yüzde 36,59 hissesine sahibim şirkete sermaye olarak verdiğim arsama inşaat yapıldı ve payımıza 183 adet (1+1) daire 12 dükkan düştü, benim payıma ise 67 daire 4,4 dükkan düştü” demişti.
Ancak bu beyanlarına karşılık dairelerin, dükkanların değerlerini açıklamamıştı. Hatta Banka mevduat bilgileri, ziynet eşyaları, araçlar, mevcut döviz, eşlerin mal durumu da duyurulmamıştı.
Bahse konu yer Elmar Towers. Dairelerin kirası 19 bin TL’den satılık olanların fiyatı ise 3 milyon TL’den başlıyor.
ANTALYA’DAKİ DAİRELER!
Yine Sayın Altınok’a ait olduğunu belirttiğim ama mal beyanında bulunmayan bir arsadan bahsetmiştim. Arsa Antalya’da. Turgut Altınok ile Gayrimenkul şirketinde ortak bulunan Hacı Altınok’a ait.
Arsa Antalya Aksu Altıntaş’ta 12.5 dönüm. Arsa kat karşılığı yine verilmiş. 10 katlı 4 Blok 660 daire 6 dükkan yapılmış.
Sayın Altınok bu arsayı ve daireleri mal beyanında göstermemiş. Mutlaka bir açıklaması vardır.
Şirkete baktım. Öyle ya 660’ı Antalya’da, 183’ü Ankara’da toplam 843 daireden bahsediyoruz. İnşaat da yok. Kat karşılığı verilmiş.
Altınok Gayrimenkul ne kadar vergi ödemiş diye baktım.
Efendim 2020, 2021, 2022 yıllarında tahakkuk eden vergi 0.
Bakın yazı ile "sıfır."

Altınok’a soruyorum bu kadar “emaneti” sırtında taşımak zor değil mi?
Acaba vergisini vermediği için mi açıklama gereği duymadı.
Çok ayıp!
