İstanbul Arnavutköy’de, AKP'li Cumhurbaşkanı Recep Tayyip Erdoğan'ın damadı Selçuk Bayraktar'ın ailesine ait olan Baykar Makina’ya ait arazi Cumhurbaşkanlığı Kararı’yla 'özel endüstri bölgesi’ne dahil edildi.

Erdoğan’ın imzasıyla bugünkü Resmi Gazete’de yayımlanan kararda şu ifadelere yer verildi:
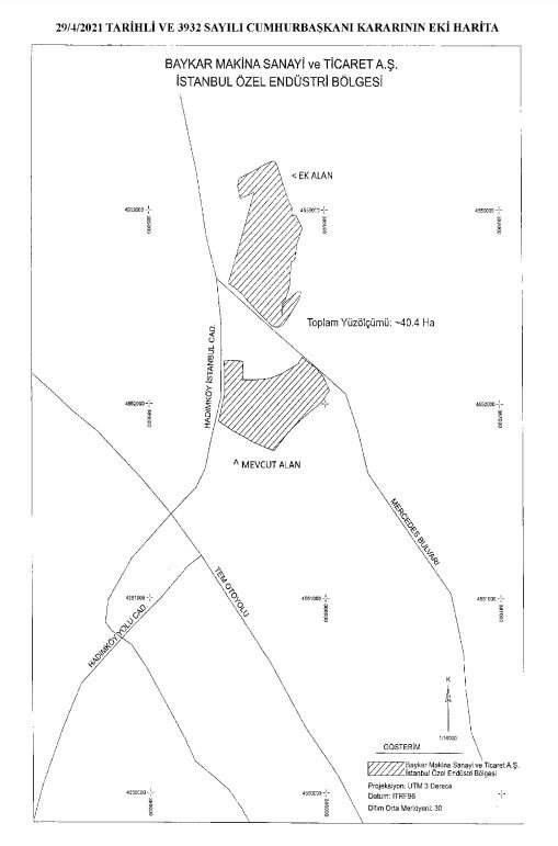
“İstanbul İli, Anrnavutköy İlçesinde, Baykar Makina Sanayi ve Ticaret Anonim Şirketi mülkiyetinde bulunan ve ekli haridata sınırları gösterilen alanın, Baykar Makina Sanayi ve Ticaret Anonim Şirketi İstanbul Özel Endüstri Bölgesine dahil edilmesine, 4737 sayılı Endüstri Bölgeleri Kanunu’nun 4/Ç maddesi gereğince karar verilmiştir.”

ÖZEL ENDÜSTRİ BÖLGELERİNİN AVANTAJLARI
Özel endüstri bölgelerine dahil edilen firmalar önemli avantajlar elde ediliyor. Harita, etüt raporu, imar planları, alt ve üst yapı projeleri bakanlık tarafından onaylanıyor. Bu işlemler için bedel alınmıyor. Yapı ruhsatı, yapı kullanma izni, iş yeri açma çalıştırma ruhsatı bakanlık tarafından veriliyor ve söz konusu ruhsatlar için harç alınmıyor.
Özel endüstri bölgelerinin avantajları şöyle:
- Projesine göre bölgenin yatırımlara hazır hale gelmesi için gereken altyapıya ilişkin masraflar, bakanlık tarafından karşılanabilir.
- Harita, etüt raporu, imar planları, alt ve üst yapı projeleri bakanlık tarafından onaylanır. Bu işlemler için bedel alınmaz. Yapı ruhsatı, yapı kullanma izni, iş yeri açma çalıştırma ruhsatı bakanlık tarafından verilir ve söz konusu ruhsatlar için harç alınmaz.
- Yatırım için şart olan ‘ÇED gerekli değildir’ veya ‘ÇED olumlu’ kararları en geç 2 ay içinde verilir. Bakanlık tarafından verilen onay ve izinler ile tesisin üretime geçmesi için alınan diğer izinler ilgili kurumlarca 15 gün içinde verilir.
- Hazine arazileri üzerinde 49 yıllığına irtifak hakkı veya kullanma izni verilir.
- İrtifak hakkı veya kullanma izni bedeli, taşınmazın emlak vergisine esas asgari metrekare birim değeri toplamının binde 5’i, stratejik yatırım olması durumunda ise binde 1’i oranında belirlenir.
- Özel endüstri bölgelerine ilişkin Cumhurbaşkanınca ek teşvikler belirlenebilir.
- Yatırım Teşvik Belgesi alan yatırımlar, vergi indirimi ve sigorta primi işveren hissesi desteği açısından bulundukları bölgenin bir alt bölgesinde sağlanan oran ve sürelerde bu desteklerden yararlanabilir.
- Bölgede yer alan bütün binalar emlak vergisinden, arsaların tahsisine ilişkin sözleşme ve taahhütnameler damga vergisinden muaftır.
- Bölgede yer alan gayrimenkullerin ifraz, taksim veya birleştirme işlemleri, söz konusu bölgelerde bulunan arsaların tahsisi nedeniyle şerhi gerektiren işlemleri ile bu arsa ve üzerine inşa edilen binaların tahsis edilene devir ve tescil işlemleri ve cins değişikliği işlemleri harçtan muaftır.
BAYKAR MAKİNA HAKKINDA
Bayraktar Kardeşler'in kısaltılmış hali olarak söylenen Baykar, bir makine imalat ve savunma şirketi.
Baykar Makina ismiyle 1984 yılında Özdemir Bayraktar tarafından kuruldu.
Şirketin Yönetim Kurulu Başkanı Özdemir Bayraktar, Genel Müdürü ise Erdoğan’ın damadı Selçuk Bayraktar.